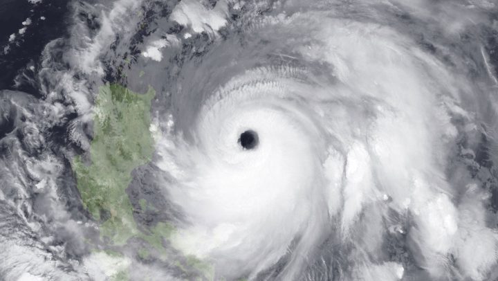
A new AI-based weather tool surpasses current forecasts May 21, 2025 By admin The AI tool used machine learning to outperform current weather simulations, offering faster, cheaper, more accurate forecasts.